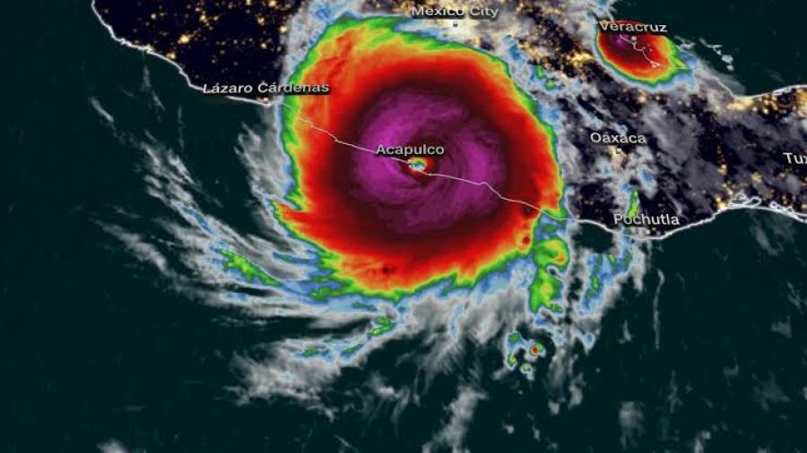
Toca tierra el huracán “Otis”, de categoría 5, en Acapulco

Nacional / Nacional / Por: Staff NotiGape

Publicado: 25 de octubre, 2023 | 9:22 AM

Toca tierra el huracán “Otis”, de categoría 5, en Acapulco

El huracán Otis tocó tierra en la madrugada del miércoles en la costa meridional del Pacífico mexicano como un catastrófico meteoro de categoría 5 con vientos de 270 kilómetros/hora (165 millas por hora) e intensas lluvias en Acapulco y sus alrededores, recordando una tormenta que causó decenas de muertos en 1997.

Se espera que se debilite rápidamente en las escarpadas montañas del estado de Guerrero, pero los entre 13 y 25 centímetros (5 a 10 pulgadas) de lluvia que podría arrojar en la zona, hasta 38 centímetros (15 pulgadas) en algunas zonas, elevaron la amenaza de deslaves e inundaciones.

En menos de 24 horas, Otis pasó de tormenta tropical a un huracán de máxima categoría. Los residentes de la costa de Guerrero trataron de prepararse pero la repentina intensidad de la tormenta tomó a muchos por sorpresa.

"Estamos en alerta máxima, estamos en alerta roja", dijo la alcaldesa de Acapulco, Abelina López, que pidió a la ciudadanía que permanezca en casa o se resguarde en los albergues habilitados en la ciudad.

La regidora advirtió que el impacto de Otis podría ser más devastador que el de Paulina, un huracán que dejó centenares de muertos en el puerto en 1997.