Notigape

La tormenta tropical Beatriz se desplaza muy cerca de la costa de Jalisco

Por: Staff NotiGape
01/07/2023 06:47
La tormenta tropical Beatriz se desplaza muy cerca de la costa de Jalisco

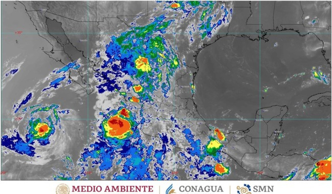
Durante la mañana de este sábado, Beatriz mantendrá su desplazamiento muy cerca de la costa de Jalisco, por lo que se prevén lluvias intensas (de 75 a 150 milímetros [mm]) en localidades de Colima, Jalisco, Michoacán y Nayarit, así como vientos con rachas de 60 a 80 kilómetros por hora (km/h) y oleaje de 1 a 4 metros (m) de altura en las costas de Colima, Jalisco, Michoacán y Nayarit.

A las 06:00 horas, tiempo del centro de México, el centro de Beatriz, ahora como tormenta tropical, se ubicaba a 40 kilómetros (km) al noroeste de Playa Pérula, y a 75 km al sur-sureste de Cabo Corrientes, Jalisco. Tiene vientos máximos sostenidos de 95 km/h, rachas de 120 km/h y se desplaza hacia el noroeste a 20 km/h.

Las precipitaciones de mayor intensidad podrían acompañarse de descargas eléctricas, rachas fuertes de viento y granizadas, y generar deslaves, incremento en niveles de ríos y arroyos, desbordamientos e inundaciones en zonas bajas de los estados mencionados.

El Servicio Meteorológico Nacional (SMN), de la Comisión Nacional del Agua (Conagua), en coordinación con el Centro Nacional de Huracanes de Miami, mantiene zona de prevención por efecto de tormenta tropical desde Manzanillo, Colima, hasta Punta Mita, Nayarit, y zona de vigilancia por efectos de tormenta tropical desde Punta Mita hasta San Blas, ambos en Nayarit, así como en las Islas Marías.

El SMN recomienda a la población y la navegación marítima que se encuentra en los estados afectados, extremar precauciones ante las lluvias, viento y oleaje, así como atender las recomendaciones emitidas por las autoridades del Sistema Nacional de Protección Civil.

Se hace un llamado a la población a seguir manteniéndose informada sobre las condiciones meteorológicas y las precipitaciones intensas que se presenten en los días siguientes, mediante las páginas de internet www.gob.mx/conagua  y https://smn.conagua.gob.mx

 

WING STOP